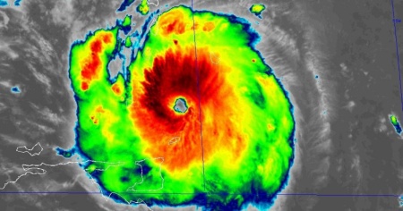
L'uragano Beryl è diventato «estremamente pericoloso»


Raggiunta la categoria 4, le autorità delle varie isole invitano la popolazione a mettersi al sicuro
Raggiunta la categoria 4, le autorità delle varie isole invitano la popolazione a mettersi al sicuro
BRIDGETOWN - L'uragano Beryl fa sempre più paura. Gli ultimi dati raccolti sul campo e pubblicati dal National Hurricane Center statunitense indicano che si è rafforzato, fino a raggiungere la categoria 4, che viene giudicata «estremamente pericolosa». Venti mortali e mareggiate dovrebbero raggiungere nelle prossime ore Barbados, Dominica, Grenarda, Saint Lucia, Tobago, Saint Vincent e Grenadine.
Decine di voli sono stati cancellati in tutta la regione, le attività commerciali hanno abbassato le saracinesche. «Non è uno scherzo», ha affermato il primo ministro di Saint Vincent e Grenadine, Ralph Gonsalves, ricordando la devastazione causata dagli uragani del passato nei Caraibi. In un discorso alla nazione pronunciato dalla sua residenza ufficiale, Gonsalves ha detto che avrebbe cercato rifugio nel suo seminterrato. «Il tetto, certamente la parte vecchia del tetto, potrebbe non sopravvivere a venti a 241 km orari. Mi sto preparando a scendere», ha aggiunto.